About 208 State Route 37
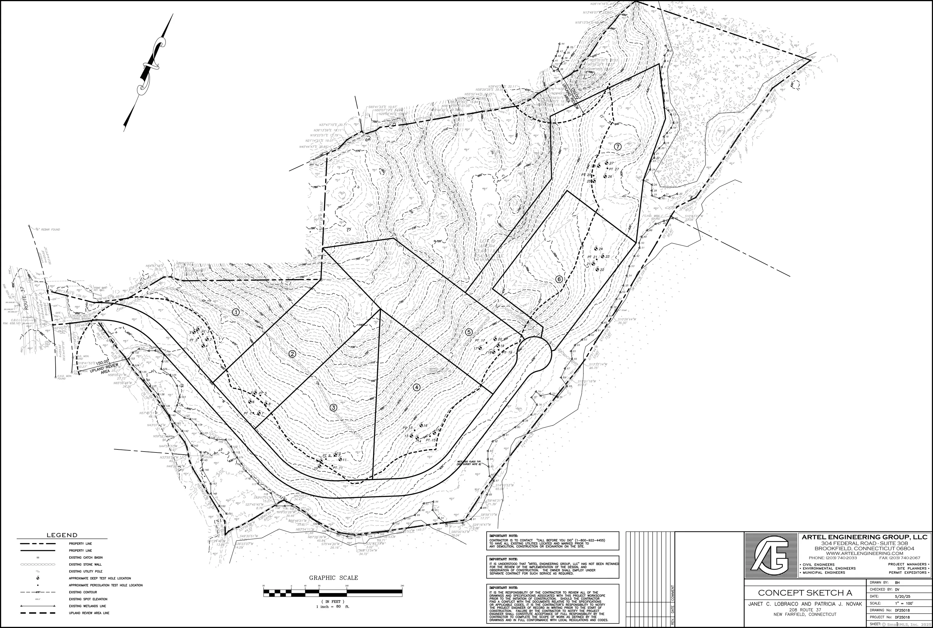
Developers take notice!-Lot consept design attached, Deep holes and Perk test completed, updated survey and wetlands delineation report are attached. Perk data attached for seven lots. Perfect for a large 33.4 acre Camp, Horse farm, private estate or to develope on multiple lots. Lightly wooded and wooded areas with classic New England stone walls and stone out croppings Being the former Lollipop Stables this land is abundant with horse/ATV trails. This raw land is a perfect place to build your own 33.4 acre private estate or be developed with multiple lots Located less than six miles from I84 through Danbury also is a short ride to New York City. Note: See photo of main gate at the street, the house to left of driveway is not part of this property. See attached documents for map and survey. Town of New Fairfield zoning is 3 acre min per buildin lot there is a large mix of open land, wooded and ledged throughout this property. SEE ATTACHED SURVEY, MAPS AND DOCUMENTS-
Features of 208 State Route 37
| MLS® # | 24067945 |
|---|---|
| Price | $995,000 |
| Acres | 33.40 |
| Type | Lots and Land For Sale |
| Sub-Type | Residential Land |
| Status | Active |
Community Information
| Address | 208 State Route 37 |
|---|---|
| Area | N/A |
| City | New Fairfield |
| County | Fairfield |
| State | Connecticut |
| Zip Code | 06812 |
Amenities
| Utilities | Electric, Telephone |
|---|---|
| Is Waterfront | No |
| Waterfront | Not Applicable |
| Has Pool | No |
Interior
| Fireplace | No |
|---|---|
| Has Basement | No |
Exterior
| Lot Description | Lightly Wooded |
|---|
School Information
| Elementary | Per Board of Ed |
|---|---|
| High | Per Board of Ed |
Additional Information
| Date Listed | January 11th, 2025 |
|---|---|
| Days on Market | 305 |
| Zoning | 2 |
| RE / Bank Owned | No |
Listing Details
| Office | Century 21 AllPoints Realty |
|---|
