About 13 Palmer Street
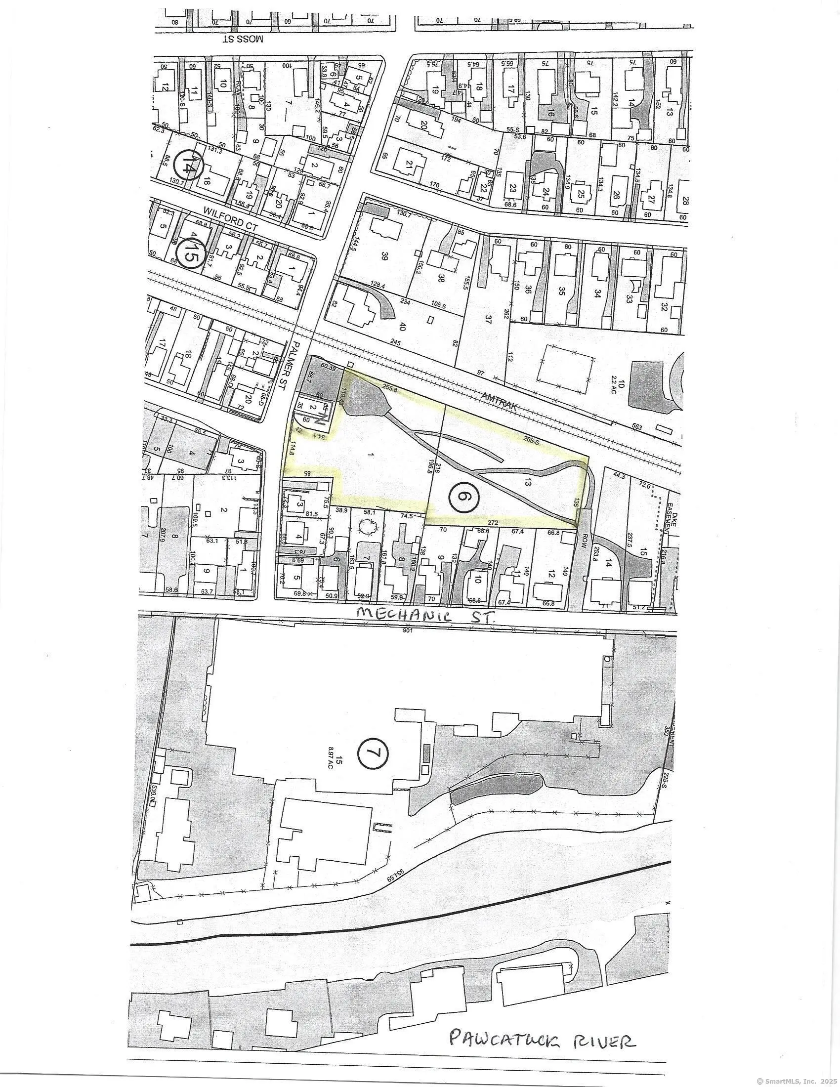
ATTENTION DEVELOPERS! Mixed use/residential 2 acre parcel in the high density PV-5 development zone. Perfect multi unit housing site!. Level, cleared, city water, sewer, gas available. Property is across from the Pawcatuck River within easy walking distance to downtown Pawcatuck and Westerly, RI. Adjacent to existing multi family units and a restaurant. This parcel being sold with adjoining 1.08 acre lot 65 Mechanic St, MLS#24068467
Features of 13 Palmer Street
| MLS® # | 24068449 |
|---|---|
| Price | $475,000 |
| Acres | 1.14 |
| Type | Lots and Land For Sale |
| Sub-Type | Residential Land |
| Status | Under Contract |
Community Information
| Address | 13 Palmer Street |
|---|---|
| Area | Pawcatuck |
| City | Stonington |
| County | New London |
| State | Connecticut |
| Zip Code | 06379 |
Amenities
| Utilities | Electric Available, Gas Available |
|---|---|
| Is Waterfront | No |
| Waterfront | Not Applicable |
| Has Pool | No |
Interior
| Fireplace | No |
|---|---|
| Has Basement | No |
Exterior
| Lot Description | Sidewalk, City Views, Level Lot, Open Lot |
|---|
School Information
| Elementary | West Vine |
|---|---|
| High | Stonington |
Additional Information
| Date Listed | January 13th, 2025 |
|---|---|
| Days on Market | 86 |
| Zoning | PV-5 |
| RE / Bank Owned | No |
Listing Details
| Office | Russ Real Estate |
|---|
